Ngày 23/8, Trung tâm Khí tượng Quốc gia Trung Quốc ban hành cảnh báo vàng đối với bão Kajiki.
Theo đài quan sát khí tượng tỉnh Quảng Đông, mưa lớn và gió mạnh dự kiến sẽ quét qua Bán đảo Lôi Châu cùng các khu vực ven biển của các thành phố Mậu Danh, Dương Giang, Giang Môn từ ngày 24 đến 25/8.
Hải Nam và Quảng Đông đã kích hoạt ứng phó khẩn cấp cấp IV để đối phó với bão. Trung tâm Kiểm soát Lũ lụt và Cứu trợ Hạn hán Quốc gia cũng đã cử một đội công tác đến các tỉnh phía Nam để hỗ trợ nỗ lực ứng phó tại địa phương.



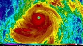
Bão Kajiki hình thành từ một áp thấp nhiệt đới trên Biển Đông. Trưa 23/8, tâm bão nằm cách đảo Hải Nam khoảng 650 km về phía đông.
Cơn bão dự kiến sẽ tiếp tục di chuyển theo hướng Tây - Tây Bắc với tốc độ 25 km/giờ, và sẽ tiếp tục mạnh lên. Bão có khả năng đổ bộ hoặc đi qua gần bờ biển phía Nam đảo Hải Nam vào khoảng tối 24/8, trước khi hướng tới các vùng ven biển miền Trung và miền Bắc Việt Nam.
Theo tờ Bangkok Post, Thái Lan cũng dự kiến sẽ hứng chịu mưa lớn từ ngày 24/8 đến 27/8 do bão Kajiki.
Cơn bão có khả năng gây mưa to đến rất to trên khắp miền Bắc, vùng Đông Bắc, Đông, Tây Nam Thái Lan và khu vực Trung bộ, bao gồm cả Bangkok và vùng ngoại ô.
Người dân ở các vùng trũng thấp, gần chân đồi hoặc dọc theo các tuyến đường thủy được khuyến cáo đề phòng lũ và lũ quét.
Gió trên biển dự kiến sẽ mạnh lên, với sóng cao từ 2 đến 3 m hoặc hơn. Các tàu thuyền nhỏ được khuyến cáo nên ở lại bờ cho đến khi điều kiện thời tiết được cải thiện.